У Львові планують масштабну реорганізацію руху на вулиці Стрийській: які зміни передбачені
Роботи частково профінансує забудовник, що зводить поруч житлові будинки
За співфінансування GIZ розробили ескіз змін для вул. Стрийської, включаючи облаштування смуг для громадського транспорту та інші точкові коригування по всій вулиці, від вул. Мікльоша до Академії Сухопутних військ. Проєкт вже обговорювали на кількох виїзних зустрічах, і його ще мають погодити на засіданні виконавчого комітету ЛМР. Відповідне рішення про реорганізацію руху затвердили на засіданні комісії з безпеки дорожнього руху ЛМР 5 вересня, пише «Твоє місто».
На перетині вул. Стрийської та Мікльоша збудують окрему смугу для громадського транспорту, велодоріжку та пішохідну зону. Ці роботи частково профінансує забудовник, що зводить поруч житлові будинки.
Фото: Перехрестя Стрийська – Мікльоша
Водночас є плани зробити виїзд для автобусів від автовокзалу в напрямку області, щоб зменшити час на перетин вулиці, а також облаштувати новий світлофор і пішохідний перехід біля автовокзалу для безпечнішого руху.
Фото: Ділянка біля автовокзалу
«Це необхідно. Адже без регулювання перетинати три смуги до центру і три смуги від центру це небезпечно. Також була пропозиція облаштувати тут пішохідний перехід. Станом на зараз там немає сильного пішохідного потоку. Але, можливо, в майбутньому це можна буде облаштувати», – зазначив заступник керівника управління вуличної інфраструктури ЛМР Павло Сирватка.
На ділянці від вул. Вернадського до вул. Наукової в обидва напрямки облаштують додаткові смуги для громадського транспорту. Замість трьох наявних 4-метрових смуг, планується запровадити чотири 3-метрові, що дозволить автобусам швидше рухатися.
Фото: Перехрестя Стрийська – Вернадського
На іншій ділянці, від будинку №48 до вул. Наукової, з'явиться додаткова смуга для громадського транспорту в напрямку центру міста.
Фото: Перехрестя Стрийська – Наукова
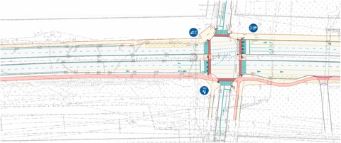
На перехресті вулиць Стрийська – Наукова ця смуга заводитиме в кишеню існуючої зупинки, було рішення смугу закінчити, почавши її знову перед перехрестям з вул. Рубчака. Відповідно до нового проєкту організації дорожнього руху на цьому перехресті, який попередньо погодили патрульна поліція та міськрада, передбачено:
- 1. влаштування лівоповоротної смуги зі світлофорним регулюванням для повороту на вул. Рубчака (проєктовану) у напрямку з центру міста та смуги для правого повороту у напрямку до центру міста;
- регулювання світлофором виїзду з вул. Рубчака (проєктованої) в напрямку виїзду з міста та вул. Тролейбусної;
- 2. влаштування регульованих пішохідних переходів, велопереїздів та острівців безпеки через вул. Стрийську з обох боків перехрестя, та через вул. Рубчака;
- 3. влаштування автобусних зупинок на вул. Стрийській в обох напрямах руху для обслуговування мешканців та відвідувачів сусідніх будівель;
- 4. влаштування велоінфраструктури вздовж вул. Стрийської та велопереїздів, для сполучення зі вже наявною велоінфраструктурою на вул. Стрийській, вул. Науковій та просп. Івана Павла ІІ.
- Фото: Перехрестя Стрийська – Рубчака
- «На перехресті з вул. Володимира Великого за рахунок перерозмітки та зміни ширини пропонується організація лівого повороту, щоб був можливий заїзд у ЖК «Америка». І від центру на ділянці від перехресті Сахарова також продовжується смуга громадського транспорту», – повідомив Павло Сирватка.
- Фото: Перехрестя Стрийська – Володимира Великого
- Виїзд із вул. Луганської є проблемним місцем, тому пропонують облаштувати виїзд не в смугу загального руху, а в смугу громадського транспорту і потім перелаштовуватися. Цим сподіваються спростити виїзд транспорту у напрямку області.
- Фото: Перехрестя Стрийська – Луганська
- На перехресті з вул. Сахарова з’явиться смуга для правого повороту, яку планують використовувати як смугу для громадського транспорту. За 200 м до вул. Героїв Майдану хочуть перервати смугу для громадського транспорту. Однак члени комісії безпеки дорожнього руху виступили проти облаштування смуги громадського транспорту від вул. Сахарова до розгалуження вул. Героїв Майдану, за що й проголосували.
- Фото: Перехрестя Стрийська – Сахарова
«Усе до повороту на вул. Хуторівку можна впроваджувати із смугою громадського транспорту. Але починаючи від вул. Хуторівки, у мене є дуже багато зауважень по ширині, тут треба розширити вулицю Стрийську у напрямку центру. Також на вул. Трускавецькій треба розширення. Лише після вирішення цих питань можна впроваджувати цей проєкт. Але ж не зрозуміло, коли будуть кошти на таке розширення», – зазначив очільник міської транспортної комісії Ігор Зінкевич.
Ескіз хочуть затвердити концептуально, однак до нього ще вноситимуть зміни. Саму реконструкцію вулиці виконуватимуть відрізками, починаючи із ділянки на вул. Мікльоша – вул. Рубчака.