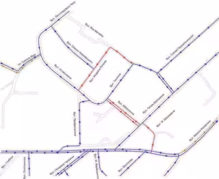
У Львові змінять рух транспорту через пл. Шашкевича (схема)
Біля Органного залу змінять рух, вул. Професорську не перекриватимуть. Про це пише Зручне місто.
Відповідно до прийнятого КБДР рішення, змінять напрямок руху через пл. Шашкевича, рух по Бібліотечній буде двосторонній. Поки зберігається також можливість проїхати через вул. Професорську. Розвернуть рух і по вул. Рилєєва.
Вже не буде потреби робити поворот під дуже гострим кутом (практично розворот на 180 градусів) на вул. Професорську, якщо є потреба потрапити на вул. Технічну від вулиці Коперника. Зараз проїхати можна буде через Шашкевича-Бібліотечну.
varta1.com.ua: Новини
Читайте також
У пʼятницю Львів попрощається із захисниками Віталієм Калімуліним та Романом Чайкою
Львів попрощається з військовослужбовцями Віталієм Калімуліним та Романом Чайкою, які віддали життя, захищаючи Україну від російських окупантів
На Львівщині висадили гектар лісу в пам’ять про полеглого воїна-лісівника Андрія Позняка
Акція «Ліси пам’яті» об’єднала рідних захисника, колег та громаду заради вшанування подвигу героя
На Львівщині під час пожежі сухостою у дачному кооперативі загинув чоловік
Трагедія сталася через займання сухої трави на території дачного кооперативу у селі Межиріччя
Найкоментованіше
- росія не має доброї волі, її треба примушувати, - Зеленський
- Україні доведеться визнати територіальні втрати, - Мерц
- Європа готується до затяжної війни в Україні, - NYT
- У Чернівцях скасували концерт Анастасії Приходько, яка заявила, що вона говорить “київською російською мовою”
- Партнери України будуть використовувати український фронт як полігон для тестування своїх оборонних розробок
Найчитаніше
- Підтверджено загибель зниклого безвісти на Курщині воїна з Львівської області Павла Горошка
- У Києві аферист ошукав народну артистку України на понад шість мільйонів гривень
- Підтверджено загибель Героя зі Львівщини, який вважався безвісти зниклим з 2023 року
- На Харківщині загинув Герой зі Львівщини Віталій Кінчеряк
- У Польщі знайшли мертвою українку із Закарпаття, яку польські поліцейські розшукували кілька днів
Коментарі