Завтра буде перекрито рух львівською вуличкою (схема)
Від завтра, 21 серпня, з 10.00 год. і до 20.30 год. перекриють рух транспортних засобів на залізничному переїзді Клепарів–Брюховичі. Про це повідомляє прес-служба ЛМР.
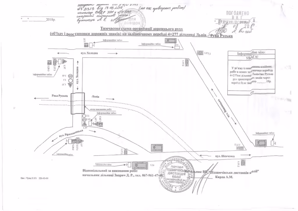
У зв’язку з проведенням колійних робіт, завтра, 21 серпня, з 10.00 год. і до 20.30 год. перекриють рух транспортних засобів на залізничному переїзді Клепарів–Брюховичі. Роботи проводить «Підзамчівська дистанція колії».
Об’їзд буде здійснюватися відповідно до розробленої схеми організації дорожнього руху.
varta1.com.ua: Новини
Читайте також
Топ-5 магазинів матраців у Львові: де купити якісний матрац у 2026 році?
Нижче ми зібрали п’ять популярних локацій з широким асортиментом, де львів’яни найчастіше купують матраци.
На Львівщині військові клали бруківку замість служби
Заступника командира обвинувачують у перевищенні влади військовою службовою особою (ч. 5 ст. 426-1 КК України)
На Львівщину повертається загиблий Герой Віктор Гулядик
Воїн загинув 28 вересня 2024 року під час виконання бойового завдання поблизу села Богоявленка Донецької області
Найкоментованіше
- У Луцьку група підлітків напала на військових ТЦК (ВІДЕО)
- Україна пропонує росії продовжити перемир'я після Великодня, – Зеленський
- Військовослужбовці ТЦК у разі небезпеки можуть застосовувати вогнепальну зброю, - нардеп
- До України привезли Благодатний вогонь
- В Україні весь особовий склад одного ТЦК відправили на бойові посади
Коментарі